X-Ways Investigator |
X-Ways Investigator
Download der Vollversion nur für Kunden (URL-Mitteilung bei Kauf und hier) |
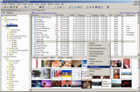
X-Ways Investigator ist eine mächtige Plattform für polizeiliche, geheimdienstliche und privatwirtschaftliche Ermittlungen, für Dokumentenanalye und Berichterstellung, unter Windows. X-Ways Investigator wendet sich insbes. an kriminalpolizeiliche Ermittler mit diversen Spezialisierungen außerhalb der IT, z. B. Buchprüfung, Baurecht, Geldwäsche, Bestechung, Mord, Kinderpornographie usw., sowie an Rechtsanwälte, Staatsanwälte, interne Revisoren, Wirtschaftsprüfer. X-Ways Investigator basiert auf X-Ways Forensics und bietet eine Untermenge von dessen Funktionsvielfalt, mit einer vereinfachten Benutzeroberfläche, die Nicht-EDV-Spezialisten von den eher technischen Details befreit. Deutlich weniger technische Features als WinHex und X-Ways Forensics. X-Ways Investigator ist Teil einer Philosophie: Die Arbeit wird aufgeteilt in vorbereitende Tätigkeiten durch Computerspezialisten mit Hilfe von X-Ways Forensics einerseits und die Ermittlungsarbeit durch weitere Sachbearbeiter andererseits. Diese Aufteilung kann ausschlaggebend sein für eine immense Beschleunigung der Abwicklung von Verfahren und eine höhere Bearbeitungsqualität. Sie verringert die Arbeitslast der Computerspezialisten und erlaubt es den Fachermittlern, viel eher mit ihrer Arbeit zu beginnen. Weitere Informationen über X-Ways Investigator, das Arbeitsaufteilungsmodell und die Vorzüge von Datei-Containern finden Sie hier. X-Ways Investigator kostet weniger als halb so viel wie X-Ways Forensics. Bei einer größerer Anzahl von Lizenzen sind beträchtliche Mengenrabatte möglich. Wir empfehlen X-Ways Investigator größeren Organisationen zusätzlich zu X-Ways Forensics, nicht unbedingt als Einzellösung! Als Einzellösung kann es jedoch ebenfalls eingesetzt werden, in Form einer Review-Plattform, wenn Fälle bereits mit X-Ways Forensics aufbereitet wurden. Wenn Sie vor dem Kauf wissen möchten, wie die Benutzeroberfläche von X-Ways Investigator aussieht und welche Funktionen die Software anbietet, aktivieren Sie Oberfläche von X-Ways Investigator im Dialogfenster Allgemeine Optionen in X-Ways Forensics. Der Grad der Funktionsreduktion und Vereinfachung ist zu einem großen Teil benutzerdefinierbar. X-Ways Investigator hat kein eigenes Benutzerhandbuch und keine eigene Programmhilfe, sondern nur das Handbuch und die Hilfe von WinHex/X-Ways Forensics. |
Funktionsumfang:
- Fallverwaltung, Protokollierung
- automatische Erstellung von Berichten, die von jeder Applikation importiert und weiterverarbeitet werden können, die HTML versteht, wie z. B. MS Word
- Dateibetrachter für hunderte von Dateiformaten enthalten
- Fähigkeit, Dokumente mit allen Metadaten auf einem Deckblatt zu drucken
- eingebaute Unterstützung für Datenträger/Images mit diesen Dateisystemen: FAT12/16/32, TFAT, exFAT, NTFS, Ext2/3/4, CDFS, UDF, HFS, HFS+, APFS, XFS, BtrFS, QNX, ReiserFS, Reiser4, UFS, UFS2
- Interpretieren von Roh-Image-Dateien und .e01 Evidence-Files
- ideal zum Begutachten von Dateien, die in X-Ways Forensics in Datei-Containern zusammengestellt wurden
- Fähigkeit, mächtige Begriffssuchen, sowohl konventionell als auch über einen Index durchzuführen (Index mit X-Ways Forensics erstellt)
- mächtiges Einsehen von Suchtreffern mit Kontextvorschau, z. B. alle Treffer für Suchbegriffe A, B, und D in allen .doc- und .ppt-Dateien unterhalb von \Dokumente und Einstellungen mit Zugriffsdatum in 2004
- Galerie-Ansicht für Bilder, Kalender-Ansicht für Zeitstempel
- Kommentare zu Dateien hinterlegen, zur Ausgabe im Bericht oder zum Filtern
- Dateien markieren und benutzerdefinierten Berichtsabellen relevanter Dateien hinzufügen
- Verzeichnisbaum links mit Möglichkeit, Verzeichnisse incl. aller Unterverzeichnisse zu erkunden/zu markieren
- mächtige dynamische Filter nach wahrem Dateityp, Hash-Set-Kategorie, Zeitstempel, Dateigröße, Kommentaren, Berichtstabellen usw.
- verzeichnisübergreifende Ansicht aller existierenden und gelöschten Dateien auf Datenträgern
- Hautfarbenerkennung (Galerie-Ansicht sortiert nach Hautfarbenanteil beschleunigt z. B. die Suche nach Spuren von Kinderpornographie immens)
- Schnittstelle für PhotoDNA (nur für Strafverfolgungsbehörden), das bekannte Bilder wiedererkennt (dateiformatunabhängig und auch wenn verfremdet) und eine Klassifizierung (wie Kipo, relevant, irrelevant) an X-Ways Investigator zurückgibt
- und vieles mehr
X-Ways Investigator
|
X-Ways Investigator CTR ist eine noch weiter reduzierte Version von X-Ways Investigator, die nur Datei-Container von X-Ways Forensics und X-Ways Investigator öffnen kann (sowohl im Roh-Format als auch im .e01-Format), keine sonstigen Images und keine Datenträger. X-Ways Investigator CTR eignet sich daher ausschließlich als Ergänzung zu X-Ways Forensics bei der Aufteilung der Ermittlungsarbeit auf mehrere Sachbearbeiter oder zum Betrachten und Analysieren von in Containern weitergegebenen Dateien durch andere mit dem Fall befaßte Personen wie z. B. Anwälte. Die bei Durchsicht der Dateien in X-Ways Investigator CTR gewonnenen Erkenntnisse können bei Bedarf exportiert und in X-Ways Forensics in den Hauptfall importiert werden. Weitere Einschränkungen im Vergleich zu X-Ways Investigator:
Kostenpunkt: weniger als halb so viel wie X-Ways Investigator. Auch für X-Ways Investigator CTR gilt: Wenn Sie ausprobieren möchten, welche Funktionen genau verfügbar sind, aktivieren Sie Oberfläche von X-Ways Investigator CTR im Dialogfenster Allgemeine Optionen in X-Ways Forensics. |